
Deutscher Name 1940: Neu-Nikolajewka (Zenzeren)
Amtlicher Name 1940 / 1995: Anenii-Noi / Anenii-Noi
Gründungsjahr: 1889
Volkszählung 1930: 558 Deutsche / 53 Andere
Einwohner 1940: 573 Deutsche / 32 Andere
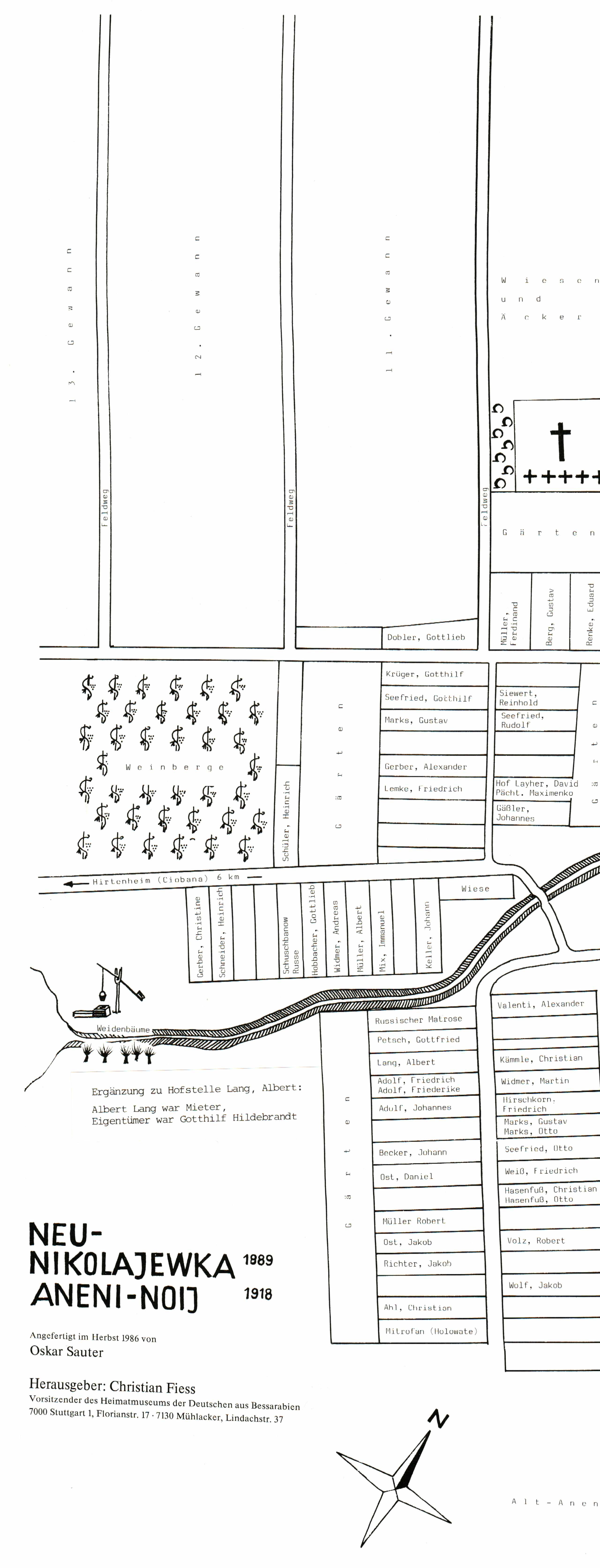
Dorfplan Neu Nikolajewka Teil 1
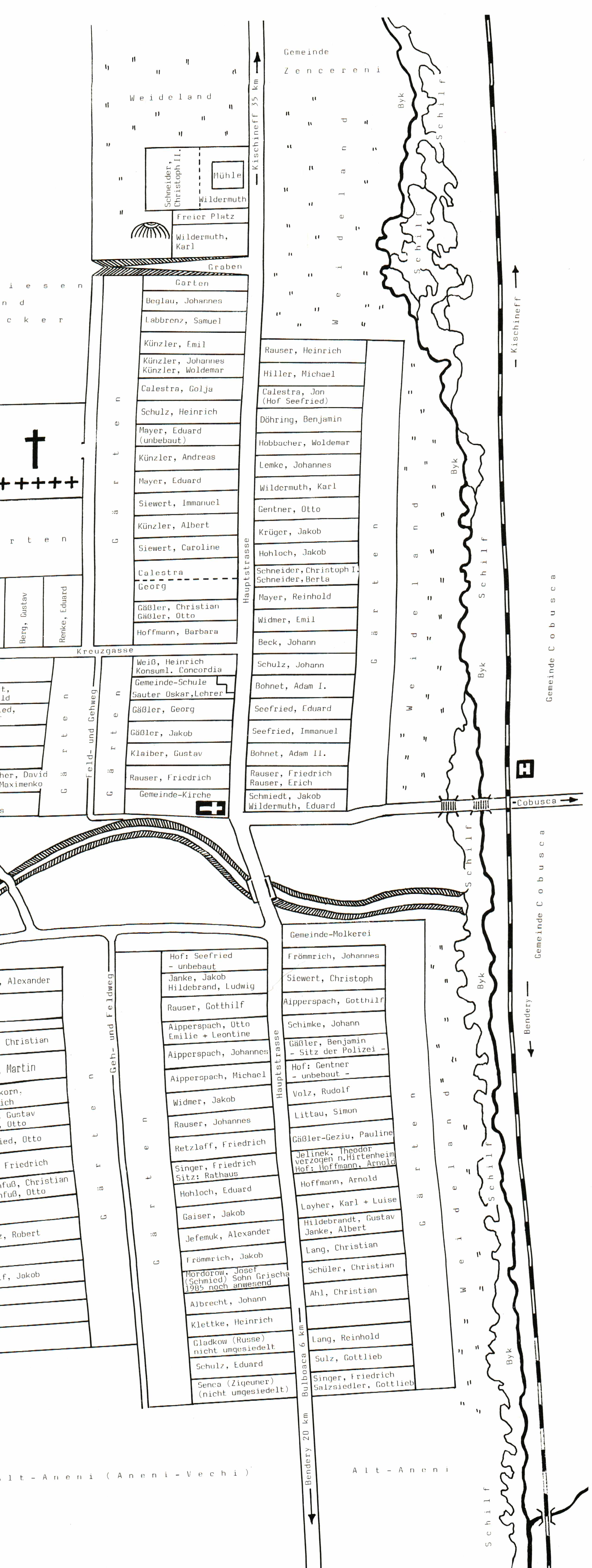
Der Dorfplan von Neu Nikolajewka ist aufgrund der Länge in zwei Teilen eingestellt. Die Teile überlappen, d.h., ein Teil des Dorfes ist auf beiden Plänen, was man leicht an den Umrissen erkennt. Die Zoombarkeit ist sehr gut, auf die Lesbarkeit kommt es an.
Dorfplan Neu Nikolajewka Teil 2
Der Dorfplan kann wie folgt bestellt werden:
http://www.bessarabien.de/shop/_k4/neu-nikolajewka-60x43--112.php
Bessarabiendeutscher Verein e.V.
Florianstraße 17
70188 Stuttgart
0711 440077-0
Öffnungszeiten Geschäftsstelle
Montag bis Freitag
jeweils 10.00 - 12:15 Uhr
und 13.15 - 17.00 Uhr
Öffnungszeiten Museum
Montag bis Freitag
jeweils 10 - 17 Uhr,
an Wochenenden für Gruppen nach Vereinbarung.
Sonntagsöffnung im Heimatmuseum
am dritten Sonntag eines Monats von 14 bis 18 Uhr
Führung um 15 Uhr
Mitgliedsbeiträge 2025
Zum SEPA-Lastschriftformular

weitere Karten (auch Dobrudscha)
Infos zu Rumänien und zur Dobrudscha