
Deutscher Name 1940: Kurudschika
Amtlicher Name 1940 / 1995: Curudjica / Suchowatoje
Gründungsjahr: 1881
Volkszählung 1930: 721 Deutsche / 23 Andere
Einwohner 1940: 707 Deutsche
Kreis: Bender
Kirchspiel: Leipzig
Geschichte Kurudschikas 1881 bis 1940
aus: Heimatbuch der Bessarabiendeutschen
bearbeitet und herausgegeben von
Pastor Albert Kern, Seiten 308-310
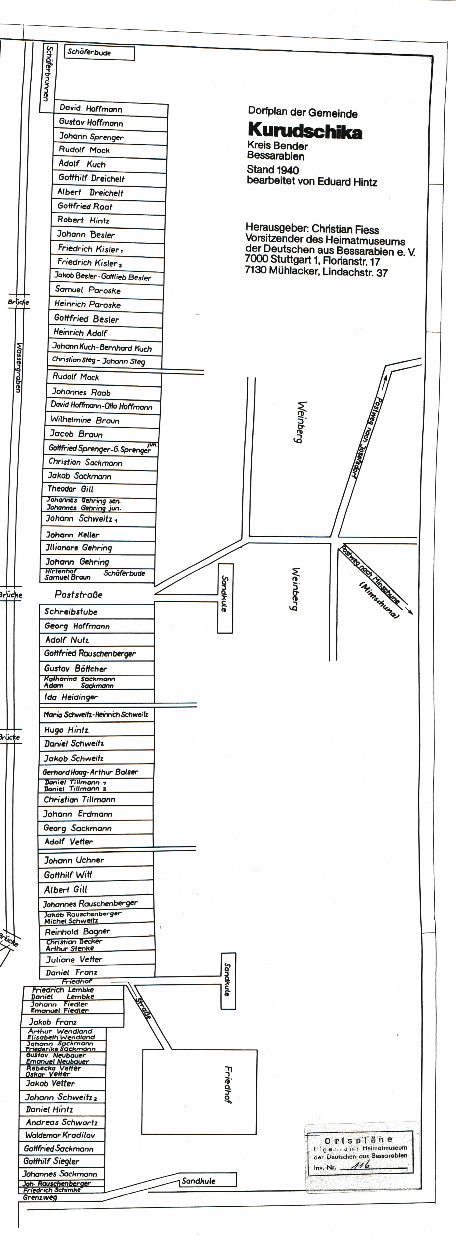
Dorfplan Kurudschika Teil 1
Der Dorfplan kann im Großformat bestellt werden
im shop des Bessarabiendeutschen Vereins:
Dorfplan Kurudschika (ein Blatt A2)
Bessarabiendeutscher Verein e.V.
Florianstraße 17
70188 Stuttgart
0711 440077-0
Öffnungszeiten Geschäftsstelle
Montag bis Freitag
jeweils 10.00 - 12:15 Uhr
und 13.15 - 17.00 Uhr
Öffnungszeiten Museum
Montag bis Freitag
jeweils 10 - 17 Uhr,
an Wochenenden für Gruppen nach Vereinbarung.
Sonntagsöffnung im Heimatmuseum
am dritten Sonntag eines Monats von 14 bis 18 Uhr
Führung um 15 Uhr
Mitgliedsbeiträge 2025
Zum SEPA-Lastschriftformular

weitere Karten (auch Dobrudscha)
Infos zu Rumänien und zur Dobrudscha